Об установлении публичного сервитута
АДМИНИСТРАЦИЯ
КОНАКОВСКОГО МУНИЦИПАЛЬНОГО ОКРУГА
==========================================================
П О С Т А Н О В Л Е Н И Е
24.01.2025 г. г. Конаково №75
Об установлении публичного сервитута
В соответствии с Земельным кодексом Российской Федерации от 25.10.2001г. № 136-ФЗ, Федеральным законом от 06.10.2003 №131-ФЗ «Об общих принципах организации местного самоуправления в Российской Федерации», Федеральным законом от 13.07.2015 №218-ФЗ «О государственной регистрации недвижимости», руководствуясь Уставом Конаковского муниципального округа Тверской области, а также рассмотрев обращение Акционерного общества «Газпром газораспределение Тверь» (ИНН 6900000364) об установлении публичного сервитута и другие представленные материалы,
ПОСТАНОВЛЯЮ:
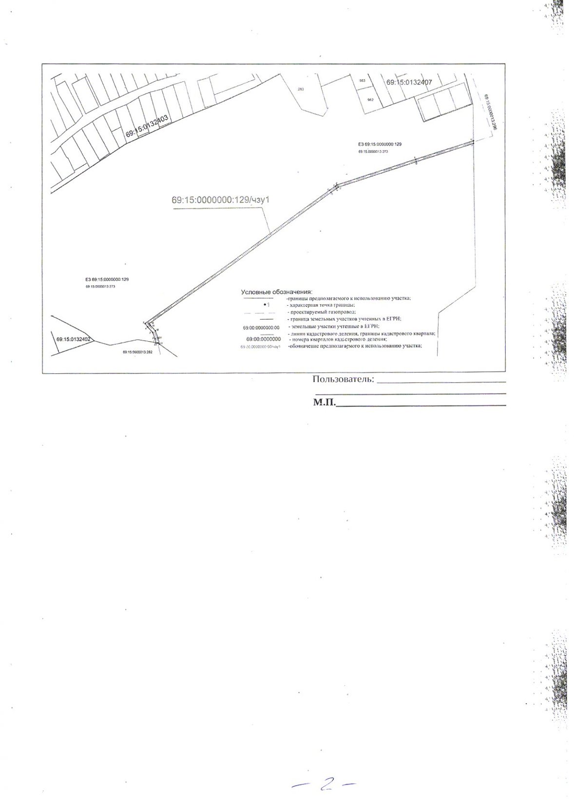
1. Установить публичный сервитут (далее – публичный сервитут) для использования объекта земельных отношений с целью (в целях): строительства, реконструкции, эксплуатации, капитального ремонта линейных объектов систем газоснабжения, их неотьемлемых технологических частей, необходимых для подключения (технологического присоединения) к сетям инженерно-технического обеспечения: «Газопровод к комплексной застройке ИЖС по адресу: Тверская область, м.р-н Калининский, с.п. Эммаусское, з/у 69:10:0000000:566» в отношении части земельного участка с кадастровым номером 69:15:0000000:129/чзу1 площадью 2672 кв.м. (приложение № 1 на 2 листах), местоположение: Российская Федерация, Тверская область, Конаковский муниципальный округ (далее – объект земельных отношений).
2. Утвердить схему границ предполагаемых к использованию земель или части земельного участка на кадастровом плане территории (границы публичного сервитута) площадью 2672 кв.м. (приложение № 1).
3. Лицо, на основании ходатайства которого принято решение (обладатель публичного сервитута) - Акционерное общество «Газпром газораспределение Тверь» (ИНН 6900000364).
4. Установить срок публичного сервитута - 10 лет.
Считать публичный сервитут установленным со дня внесения сведений о нем в Единый государственный реестр недвижимости.
5. Обладатель публичного сервитута обязан вносить плату за публичный сервитут, если иное не предусмотрено Земельным кодексом Российской Федерации. Размер платы за публичный сервитут, порядок и срок ее внесения определяются в соответствии со статьями 39.46; 39.47 Земельного кодекса Российской Федерации, если иное не установлено указанным кодексом.
6. График проведения работ при осуществлении деятельности, для обеспечения которой устанавливается публичный сервитут в отношении объекта земельных отношений, находящегося в собственности Российской Федерации: устанавливается - Акционерным обществом «Газпром газораспределение Тверь» ежегодно с 1 января по 31 декабря (при необходимости).
7. Обладатель публичного сервитута в 3-х месячный срок с момента наступления соответствующих обстоятельств, предусмотренных частью 8 статьи 39.50 Земельного кодекса Российской Федерации, обязан привести объект земельных отношений в состояние, пригодное для его использования в соответствии с разрешенным использованием.
8. Контроль за исполнением настоящего Постановления возложить на первого заместителя главы Администрации Конаковского муниципального округа.
9. Настоящее Постановление вступает в силу с момента подписания и подлежит опубликованию в газете «Заря», размещению на официальном интернет – сайте Конаковского муниципального округа Тверской области.
Глава Конаковского
муниципального округа А.М.Пляскин


